Нежестокое обращение? Почему подстреливший соседскую собаку житель Подмосковья избежал наказания
Сюжет:
Эксклюзивы ВМВ Домодедовском городском округе в одном из садовых товариществ произошел вопиющий случай: соседская собака разбудила мужчину лаем. Обиженный житель достал ружье, залез на крышу дома и выстрелил в животное. Собака выжила, но получила серьезное увечье. В тот же день на вызов приехали сотрудники полиции, а еще через пару дней отказали в возбуждении уголовного дела. Чем мотивировала свое решение полиция и что делать в таких ситуациях — в материале «Вечерней Москвы».
«Громкий лай мешал спать»
Преступление произошло еще в феврале 2023 года. В середине дня 7 февраля жительница СНТ «Елочки-2» городского округа Домодедово Ольга Парамонова сидела дома, когда вдруг услышала визг своей собаки, которая находилась на улице в вольере. Женщина выбежала на улицу и увидела в вольере кровь.
— После этого я схватила собаку и побежала с ней в дом, — рассказывает Ольга.
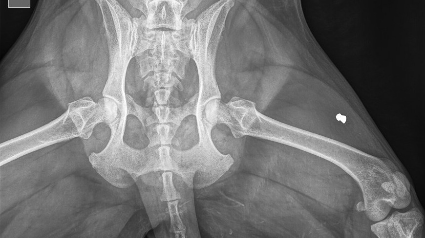
В тот же день женщина отвезла питомца в ветеринарную клинику. Во время обследования выяснилось, что свинцовая пуля формы «юбочка» застряла у собаки в мышце и ее слишком травмоопасно вытаскивать, в связи с чем поражающий элемент так и остался в ноге животного.

Возмущенная хозяйка сразу заподозрила в произошедшем соседа, 53-летнего Сергея, и написала заявление в полицию.
Правоохранители заявление приняли и провели проверку. Стрелок рассказал полицейским, что соседи оборудовали вольер для питомцев прямо под окнами его спальни. В последние несколько дней собаки не давали ему спать и «постоянно лаяли». По словам мужчины, соседи не реагировали на его жалобы и ничего с этой проблемой не делали. Потому 7 февраля, когда мужчина в очередной раз проснулся из-за лая, он не выдержал, взял ружье и выстрелил в одну из них. На следующий день он избавился от оружия преступления, продав его.
Приняв все это во внимание, сотрудник полиции, проведя проверку, не увидел в действиях мужчины «состава преступления» и уголовное дело возбуждать не стал.
Примечательно, что правоохранитель рассматривал ситуацию не с точки зрения статьи «Жестокое обращение с животными», а по признакам статьи «Умышленные уничтожение или повреждение имущества».
Заявительница таким исходом осталась недовольна и обратилась в прокуратуру, а спустя еще пару недель — в СМИ.
Издание «Вечерняя Москва» направила в подмосковную прокуратуру запрос и в тот же день получила ответ, что по данному факту проводится проверка.
— Прокуратура приняла решение об отмене постановления органа дознания об отказе в возбуждении уголовного дела и направила материал проверки обратно в УМВД для проведения дополнительных проверочных мероприятий, надзор за ходом и результатами которой осуществляет Домодедовская городская прокуратура, — сообщила руководитель пресс-службы прокуратуры Московской области Екатерина Короткова

Барон и другие жертвы
Похожие истории не редкость. Так, больше года назад была предана огласке история московского пса по кличке Барон, которого регулярно жестоко избивал хозяин. Происходящее заметила прохожая, которая попыталась выручить животное, а после написала заявление в полицию. В том случае в возбуждении уголовного дела также отказали, и в историю пришлось вмешиваться прокуратуре.
Уголовное дело отказались возбудить и в отношении женщины, которая выбросила своего щенка из окна шестого этажа в районе Очаково-Матвеевское. Несмотря на то, что для жительницы столицы это было не первое преступление. Ранее она таким же образом расправилась со своей кошкой, но ее отпустили сразу после задержания, выписав штраф.
По словам адвоката Алексея Цыганова, в случае необоснованного отказа в возбуждении уголовного дела необходимо писать жалобу в прокуратуру или вышестоящий орган МВД. Также можно обжаловать подобное решение в суде.
В ситуации Ольги Парамоновой специалист также посоветовал подать новое заявление в полицию с просьбой возбудить дело по статье «Жестокое обращение с животными». По данной статье нарушителю может грозить как штраф до 80 тысяч рублей, так и три года лишения свободы.
— При возбуждении уголовного дела в отношении соседа женщину признают потерпевшей, и она сможет подать гражданский иск о возмещении расходов на лечение животного, — отметил Цыганов.

«Дело не в статье, а в конкретном сотруднике»
Депутат Государственной думы Владимир Бурматов уверен, что подобные ситуации возникают не из-за недоработок в законодательстве или Уголовном кодексе, а из-за человеческого фактора.
— У нас полиция работает по-разному. В органах есть сотрудники, которые профессионально и эффективно выполняют свои обязанности, а есть те, кто не считает подобные преступления важными, — сообщил депутат.
Так Бурматов отметил, что современное законодательство позволяет привлечь живодеров не только к уголовной, но и к административной ответственности. Причем наказание может ждать не только убившего или покалечившего собаку, но и ударившего животное нарушителя. Депутат подчеркнул, что к ответственности можно привлечь и несовершеннолетних преступников.

— То есть речь идет не о статье, а о конкретном сотруднике: насколько профессионально человек относится к своим обязанностям, — резюмировал Бурматов.
По его словам, он взял ситуацию Ольги Парамоновой на контроль и направит в правоохранительные органы депутатский запрос для пересмотра этого решения.